Skip to content

Grandiose Cardigan Welsh Corgis

Cardigans that are sound in mind and body. For companionship, performance events, or the show ring.

  • Home
  • About Grandiose
  • Our Cardigans
  • Puppies, Litters and Available
  • Follow us on Facebook

A picture of a different sort…

Posted bygrandiosepointersJune 22, 2015Posted inUncategorized

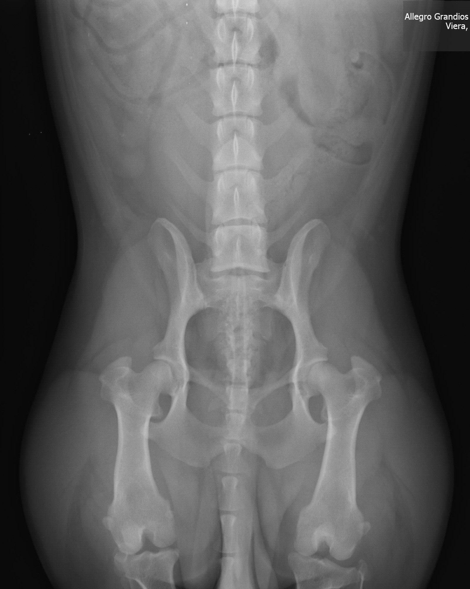
Gable Hips Perms - Copy

Gable had his hips done a few weeks ago, now that he is two we could do his permanent OFA hip xrays. OFA rated these “Fair”…

Like Loading...

Related

Posted bygrandiosepointersJune 22, 2015Posted inUncategorized

Post navigation

Previous Post Previous post:
Herding We Will Go….
Next Post Next post:
Growing up Cardi…
Grandiose Cardigan Welsh Corgis, Website Built with WordPress.com.
  • Reblog
  • Subscribe Subscribed
    • Grandiose Cardigan Welsh Corgis
    • Join 28 other subscribers
    • Already have a WordPress.com account? Log in now.
    • Grandiose Cardigan Welsh Corgis
    • Subscribe Subscribed
    • Sign up
    • Log in
    • Copy shortlink
    • Report this content
    • View post in Reader
    • Manage subscriptions
    • Collapse this bar
 

Loading Comments...
 

    %d